Pasar al contenido principal
Ir a home
Buscar
La Patria Radio
La Patria Youtube
Image
Logo La Patria
pagosPagos en línea

 

Image
Logo La Patria

MÁS DE CIEN AÑOS DE VERDAD

Navegación principal

  • Creer en Caldas
  • Manizales
  • Caldas
  • Eje Cafetero
  • Sucesos
  • Deportes
  • Opinión
  • Denuncie
  • Economía
  • Política
  • Entretenimiento
  • Cultura
  • Ciencia
  • Tecnología
  • Educación
  • Salud
  • Medioambiente
  • Nacional
  • Internacional
  • Social
  • Publirreportaje
  • Clasificados
  • Edictos
  • Pagos
  • Tenga en Cuenta
  • Feria de Manizales
  • Archivo
radio

Lp Radio               

 

radio

Lp Tv                    

instagram twitter facebook whatsapp youtube

Mar Caribe

  • Bombardero de largo alcance B-52H del equipo de la base aérea Minot de las Fuerzas Aéreas de Estados Unidos realizando una demostración de ataque el 24 de noviembre en el Mar Caribe. 
    Hace 1 semana 2 días

    Petro dice que guerra contra las drogas "no se gana con misiles", sino combatiendo pobreza

  • Secretario de Guerra de Estados Unidos, Pete Hegseth. 
    Hace 3 semanas

    EE. UU. lanza nuevo ataque contra embarcación en el Caribe y deja cuatro muertos

  • El USS Ford, cuya escolta en la zona incluye al USS Bainbridge, el USS Mahan y el USS Winston Churchill, reforzará la potencia de fuego estadounidense en las cercanías de Venezuela.
    Hace 3 semanas 3 días

    Llegada del portaaviones de EE.UU. al Caribe pone en el foco internacional a Venezuela

  • Un hombre descansa frente a una casa llena de escombros tras el paso del huracán Melissa este lunes, en Falmouth (Jamaica).
    Internacional

    Al menos 75 muertos y daños multimillonarios, el impacto del huracán Melissa en el Caribe

  • El coral "unomia stolofínera" es originario de Indonesia. 
    Medioambiente

    Científicos identifican especies marinas afectadas por un coral invasor

  • Un hombre saca productos de una tienda este viernes, en Black River (Jamaica). Más de 50 personas han muerto por el paso del huracán Melissa en el Caribe, principalmente en Haití y Jamaica, donde los equipos de rescate se esfuerzan por llegar a las zonas más damnificadas y aisladas.
    Internacional

    Se superan los 50 muertos por el huracán Melissa en el Caribe, que evalúa los catastróficos daños

  •  Vista del huracán Melissa, que se encuentra a unos 215 kilómetros al sureste de Kingston, la capital de Jamaica, y a 500 kilómetros al suroeste de Guantánamo, con vientos máximos sostenidos muy fuertes de 280 kilómetros por hora, según el último informe del Centro Nacional de Huracanes (NHC) de Estados Unidos
    Internacional

    El huracán Melissa dejará al menos un millón y medio de afectados en su ruta por el mar Caribe

  • Donald Trump, presidente de Estados Unidos.
    Internacional

    Donald Trump defiende los ataques de Estados Unidos a embarcaciones en el mar Caribe: "No estaban pescando"

  • La cubierta del USS Gerald R. Ford alberga una potencia aérea sin precedentes en la historia naval.
    Internacional

    Un continente flotante: el portaaviones más grande y avanzado de la historia, protagonista en el mar Caribe

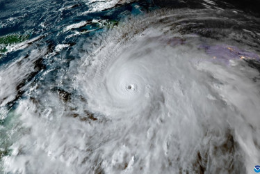
  • Imagen satelital del huracán Melissa, que se acerca por el mar Caribe a las costas de Jamaica.
    Internacional

    Alerta de vientos destructivos e inundaciones: Melissa pasa de tormenta tropical a huracán de categoría 5

  • Petro viajó a Bruselas para participar en foro y reunirse con líderes de la Unión Europea.
    Nacional

    Gustavo Petro acusa a Donald Trump de abrir "un escenario de guerra" en el Caribe

Paginación

  • Página 1
  • Siguiente página Siguiente ›

Galería Fotográfica

FELCOFIN, FEDERACIÓN COLOMBIANA DE COOPERATIVAS DE AHORRO Y CRÉDITO, FINANCIERAS Y ENTIDADES FINANCIERAS DE PROPIEDAD DE GRUPOS COOPERATIVOS

FELCOFIN, FEDERACIÓN COLOMBIANA DE COOPERATIVAS DE AHORRO Y CRÉDITO, FINANCIERAS Y ENTIDADES FINANCIERAS DE PROPIEDAD DE GRUPOS COOPERATIVOS

Foto | Lector | LA PATRIA Luz Helena López de Osorio

Luz Helena: huella de amor y servicio

Fotos | Argemiro Idárraga | LA PATRIA Marcelo Salazar, Santiago Jaramillo, Ana María Duque, Olga Lucía Cardona, Óscar Jaramillo Robledo, Carmen Dussán, Hernando Duque y Mónica Londoño.

Reconocimiento a Óscar Jaramillo Robledo

Ver más galerías
Image
Logo La Patria

Contáctanos

Manizales (principal)

Dirección: Carrera 20 # 46 - 35

Teléfonos: (606) 893 28 80
                        (606) 878 17 00

 

Bogotá: 321 812 24 68

 

Medellín: 320 727 36 38

 

Chinchiná: 311 334 82 24

 

Instagram  X  facebook  whatsapp  youtube

Regístrate al boletín

Por favor, confirma el correo de suscriptor.

Informe Especial

 

Sucesos

 

Deportes

 

Política

 

Opinión

 

Social

 

Entretenimiento

 

Edictos

Nuestros portales

www.qhubo.com/epaper/manizales/



Nuestros aliados

ami
Manizales

 


El uso de este sitio web implica la aceptación de los Términos y Condiciones, Políticas de privacidad y Política de uso de Cookies de LA PATRIA S.A.

Todos los Derechos Reservados D.R.A. Prohibida su reproducción total o parcial, así como su traducción a cualquier idioma sin la autorización escrita de su titular. Reproduction in whole or in part, or translation without written permission is prohibited. All rights reserved 2015

Un desarrollo Niebla Digital